så gik turen til Egypten ( makadi )
- Dezon
- Rev haj

- Reactions: 0
- Indlæg: 1120
- Tilmeldt: ons 19. mar 2008 19:13
- 17
- Postnummer: 7400 Herning
- Saltvand siden?: 2007
- Geografisk sted: Herning
så gik turen til Egypten ( makadi )
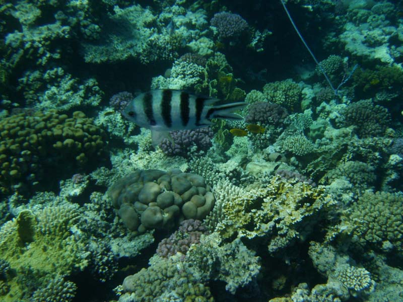
Så var kæresten og jeg i Egypten ved Makadi med rig mulighed for snorkling fra stranden
Mit IM 16G
http://saltvandsforum.dk/viewtopic.php?f=18&t=75481" onclick="window.open(this.href);return false;
http://saltvandsforum.dk/viewtopic.php?f=18&t=75481" onclick="window.open(this.href);return false;
- Dezon
- Rev haj

- Reactions: 0
- Indlæg: 1120
- Tilmeldt: ons 19. mar 2008 19:13
- 17
- Postnummer: 7400 Herning
- Saltvand siden?: 2007
- Geografisk sted: Herning
Re: så gik turen til Egypten ( makadi )
og lidt flere
Mit IM 16G
http://saltvandsforum.dk/viewtopic.php?f=18&t=75481" onclick="window.open(this.href);return false;
http://saltvandsforum.dk/viewtopic.php?f=18&t=75481" onclick="window.open(this.href);return false;
- 8220
- Foxface

- Reactions: 0
- Indlæg: 349
- Tilmeldt: ons 15. dec 2010 19:39
- 15
- Postnummer: 8220 Brabrand
- Saltvand siden?: 2010
Re: så gik turen til Egypten ( makadi )
Super flotte billeder,
Det ser ud til at have været en god tur ;=)
Det ser ud til at have været en god tur ;=)
- AndersGS
- Rev haj

- Reactions: 0
- Indlæg: 5279
- Tilmeldt: søn 22. jun 2008 19:13
- 17
- Postnummer: 9300 Sæby
- Saltvand siden?: 2008
- Kontakt:
Re: så gik turen til Egypten ( makadi )
Super fede billeder! Håber i havde en god tur!
Med venlig hilsen
Anders
Coralreef.dk
Artikelarkiv fra Coralreef.dk
570 L Display - 180 L sump (Nedlagt)
Anders
Coralreef.dk
Artikelarkiv fra Coralreef.dk
570 L Display - 180 L sump (Nedlagt)
- Dezon
- Rev haj

- Reactions: 0
- Indlæg: 1120
- Tilmeldt: ons 19. mar 2008 19:13
- 17
- Postnummer: 7400 Herning
- Saltvand siden?: 2007
- Geografisk sted: Herning
Re: så gik turen til Egypten ( makadi )
det var fedt at være af sted igen, men at se skildpadden var helt klart det største hit på turen
. Men kan kun anbafale at tage der ned i september og ikke oktober, det bliver for hurtigt mørkt i oktober.
Mit IM 16G
http://saltvandsforum.dk/viewtopic.php?f=18&t=75481" onclick="window.open(this.href);return false;
http://saltvandsforum.dk/viewtopic.php?f=18&t=75481" onclick="window.open(this.href);return false;

